Accédez aux ressources directement depuis les compétences, savoirs, activités professionnelles, centres d'intérêt des référentiels, ainsi qu'aux sujets d'examen et séminaires nationaux.
publié le 13 nov 2019 par José PAUTREL
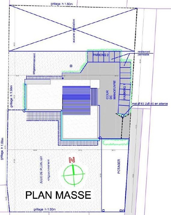
L’opération concerne la construction d’un bâtiment destiné à l’accueil et à la garderie des enfants, d’un préau couvert et l’aménagement des abords immédiats. En plan, le volume clos et couvert se présente sous la forme d’un « L » agrémenté d’un vaste préau.
La construction projetée entre dans la catégorie des Bâtiments Basse Consommation (BBC) avec un coût chauffage annuel qui ne devra pas être supérieur à 20 kW/m². L’ossature porteuse sera, de ce fait, de type mixte maçonnerie traditionnelle/bois avec isolation naturelle renforcée. Le chauffage par Pompe à Chaleur (PAC) et la ventilation double flux intégré seront complétés par un puits canadien.
Le traitement de l’aspect visuel extérieur sera réalisé avec du bardage bois par planches ou lisses, verticales ou horizontales selon les cas, et certaine partie en enduit à base de chaux hydraulique, finition talochée grattée, de ton pierre ocrée. Les menuiseries extérieures seront mixtes, bois à l’intérieur et aluminium à l’extérieur.
2.1- Analyse préparatoire 2.2- Réalisation d’un bon de commande 2.3- Préparation de l’intervention