Accédez aux ressources directement depuis les compétences, savoirs, activités professionnelles, centres d'intérêt des référentiels, ainsi qu'aux sujets d'examen et séminaires nationaux.
publié le 30 jan 2026 par José PAUTREL
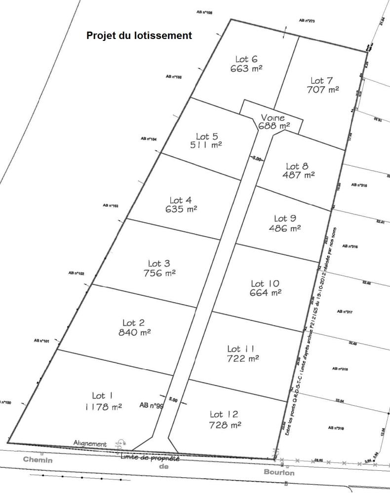
M. Jean TANGUY souhaite acquérir une parcelle sur la commune de Raillencourt-Sainte-Olle pour y aménager un lotissement d’une douzaine de lots avec une voirie commune ayant accès à la rue de Bourlon. Cette parcelle ne se situe pas dans le périmètre d’un secteur sauvegardé.
La société chargée de l’étude de ce dossier comprend une dizaine de personnes et couvre l’ensemble des compétences dans tous les domaines de la profession (foncier, topographie et maîtrise d’oeuvre…).
Elle dispose de tout le matériel nécessaire à la réalisation de tout type de travaux topographiques, que ce soit du point de vue du matériel technique (stations totales, niveaux, récepteurs GNSS, scanner 3D...) que du matériel de modélisation numérique (ordinateurs et logiciels).